yandexmetrikacounter
Çanakkale’nin Yılan Hikâyesine Dönen 20 yıl | Çanakkale Olay

Çanakkale’nin Yılan Hikâyesine Dönen 20 yıllık Sümerbank arazisi krizinde yeni dönem!

Çanakkale’nin şehir girişinde Cezaevi karşısında bulunan, 2004 yılındaki özelleştirmeden bu yana tartışmaların odağında yer alan eski Sümerbank arazisi için yeni bir süreç başladı. Daha önce mahkemelerce iki kez iptal edilen imar planları sonrası, Çevre, Şehircilik ve İklim Değişikliği Bakanlığı devreye girerek alanı "Rezerv Yapı Alanı" ilan etmişti. Bakanlık tarafından teklif edilen nazım ve uygulama imar planı değişikliği bugün itibariyle Çevre, Şehircilik ve İklim Değişikliği İl Müdürlüğünde askıya çıkarıldı.

1674

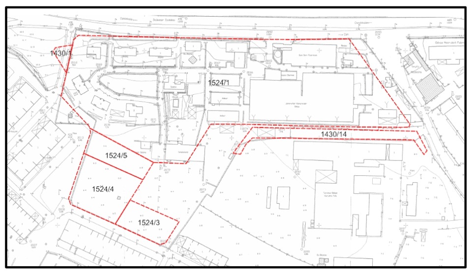
Çanakkale’nin kent girişinde bulunan ve mülkiyet süreci 20 yıl öncesine dayanan eski Sümerbank Sentetik Deri Fabrikası arazisi, Türkiye’nin ilk "rezerv yapı alanı" ilan edilen riskli bölgelerinden biri. 27 Ekim 2004’te 2 milyon 150 bin dolara özelleştirilen ve o günden bu yana akıbeti belirsizliğini koruyan 60 bin metrekarelik arazi için hazırlanan yeni imar planı askıya çıktı.

Belediye "Kesinlikle Açılmayacak" Demişti

Özelleştirme sürecinin ardından arazinin imara açılma talebi, dönemin Çanakkale Belediye Başkanı Ülgür Gökhan tarafından sert bir dille reddedilmişti. Gökhan, kamuoyuna yaptığı açıklamalarda arazinin kesinlikle imara açılmayacağını duyurmuş, konu Belediye Meclisi’nde de sert tartışmalara neden olmuştu.

Yargı Engeline Bakanlık Formülü

Sümerkent Kooperatifi’ne ait 57 bin metrekarelik taşınmazı da kapsayan Nazım İmar Planı, geçmiş süreçte İdare Mahkemesi tarafından iki kez iptal edilmişti. Ancak Çevre, Şehircilik ve İklim Değişikliği Bakanlığı, "üst ölçekli planla uyuşmazlık" gerekçesini sunarak alanı 6306 sayılı Afet Riski Altındaki Alanların Dönüştürülmesi Hakkında Kanun uyarınca "Rezerv Yapı Alanı" ilan etti.

117808_wuciwug_5001a246_canakkale-nin-y.jpeg

15 Günlük Kritik Askı Süreci Başladı

Bakanlık ile GEDAŞ Gayrimenkul Değerleme A.Ş. arasında imzalanan protokol çerçevesinde, Arslanca Mahallesi sınırları içindeki yaklaşık 6 hektarlık alanın kaderi netleşiyor. Yeni yasal düzenlemeye uygun olarak askı süresi 15 gün olarak belirlenen nazım ve uygulama imar planı değişikliği teklifi, Çevre, Şehircilik ve İklim Değişikliği İl Müdürlüğü’nde vatandaşların görüşüne sunuldu.

117808_wuciwug_f6909010_canakkale-nin-y.jpeg

Adliye Çalışanları İçin Başlatılmıştı

Başlangıçta Çanakkale Adliyesi çalışanlarını konut sahibi yapmak amacıyla Sümerkent Kooperatifi projesi olarak gündeme gelen alanın, rezerv yapı alanı ilanıyla birlikte nasıl bir dönüşüm geçireceği merak konusu. Şehir girişindeki bu dev arazinin akıbeti, askı süresi sonundaki itirazlar ve yasal süreçlerle netlik kazanacak.

(HADİYE AYŞE İRİM)
Paylaş