yandexmetrikacounter
Ayvacık’ta bulunan kaya mezarı Resmi Gazete | Çanakkale Olay

Ayvacık’ta bulunan kaya mezarı Resmi Gazete'de yayımlanarak tescil edildi

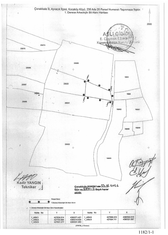
Ayvacık ilçesine bağlı Kocaköy köyünde Prof. Dr. Oğuz Koçyiğit başkanlığında yürütülen "Gülpınar/Smintheion Kırsalı ve Tuzla Çayı Deltası Geç Antik-Bizans Yerleşimleri" konulu yüzey araştırması sırasında bulunan kaya mezarı, 5 Şubat 2026 tarihli Resmî Gazetede yayımlanan kararla resmen "I. Derece Arkeolojik Sit Alanı" ilan edildi.

2654

Kültür ve Turizm Bakanlığı Çanakkale Kültür Varlıklarını Koruma Bölge Kurulu’nun, Ayvacık ilçesi Kocaköy Köyü sınırları içerisinde yer alan önemli bir arkeolojik buluntuya ilişkin kararı, 5 Şubat 2026 tarihli ve 33159 sayılı Resmî Gazete’de yayımlanarak yürürlüğe girdi.

Yüzey Araştırmasında Tespit Edildi

Söz konusu keşif, Prof. Dr. Oğuz Koçyiğit başkanlığında yürütülen "Gülpınar/Smintheion Kırsalı ve Tuzla Çayı Deltası Geç Antik-Bizans Yerleşimleri" konulu yüzey araştırması sırasında gerçekleştirildi. Kocaköy’deki özel mülkiyete ait 235 ada 20 parsel içerisinde bulunan kaya mezarı, uzman raporları ve ilgili kurum görüşlerinin ardından koruma altına alındı.

Çanakkale Kültür Varlıklarını Koruma Bölge Kurulunun 27.1.2026 tarih ve 11870 nolu kararında şu ifadeler yer aldı:

"Çanakkale İli, Ayvacık İlçesi, Kocaköy Köyü sınırları içerisinde yer alan, özel mülkiyete ait, kısme 235 ada 20 parsel numaralı taşınmaz sınırları içerisinde, 2025 yılı içerisinde Prof. Dr. Oğuz KOÇYİĞİT başkanlığında "Gülpınar/Smintheion Kırsalı Ve Tuzla (Satnioeis) Çayı Deltası Geç Antik-Bizans Yerleşimleri" konulu yüzey araştırması sırasında tespit edilen kaya mezarı için Çanakkale KVKBK Müdürlüğü'nü 03.11.2025 tarih ve 7487630 sayılı yazısı ile faaliyetleri etkilenen Kurumlardan görüş istenilen ve bi doğrultuda söz konusu kaya mezarının tescil edilmesinde sakınca olmadığı yönünde kurum görüşleri iletiler, kaya mezarın I. Derece Arkeolojik sit olarak tescil edilmesine yönelik hazırlanarak 05.01.2026 tarihinde ve 3954539 sayısı ile kayda giren Çanakkale KVKBK Müdürlüğü uzman raporu okundu, konu dosyası incelend, yapılan görüşmeler sonucunda;

Çanakkale İli, Ayvacık İlçesi, Kocaköy Köyü'nde yer alan, özel mülkiyete ait, tarla niteliğindeki, kısmen 235 ada 20 parsel numaralı taşınmazdaki kaya mezarının 2863 sayılı Yasa'nın 6. Maddesinde belirtile kriterleri taşıdığından I. Derece Arkeolojik Sit olarak tesciline, karar eki tescil fişi ve sit sınırlarını gösterei 1/2000 ölçekli koordinatlı haritanın uygun olduğuna, ilgili tapu Müdürlüğünce 235 ada 20 parsel numara i taşınmazın tapu kütüğünün beyanlar hanesine "Bir kısmı I. Derece Arkeolojik Sitte kalmaktadır." şeklinde kayıt konulmasına, I. Derece arkeolojik sit sınırlarına yönelik koruma amaçlı imar planı yapılıncaya kadar alana ilişkin Geçiş Dönemi Koruma Esasları ve Kullanma Şartlarının ekteki haliyle üç (3) yıl süreyl belirlenmesine, I. derece arkeolojik sit sınırlarına ilişkin ilgili kolluk kuvveti ve idarelerce gerekli güvenlik önlemlerinin alınmasına karar verildi."

(HADİYE AYŞE İRİM)
Paylaş